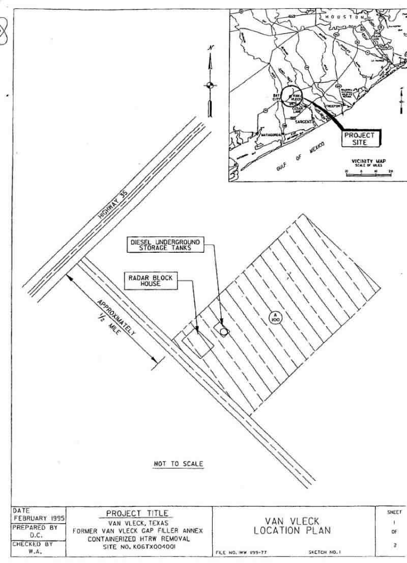
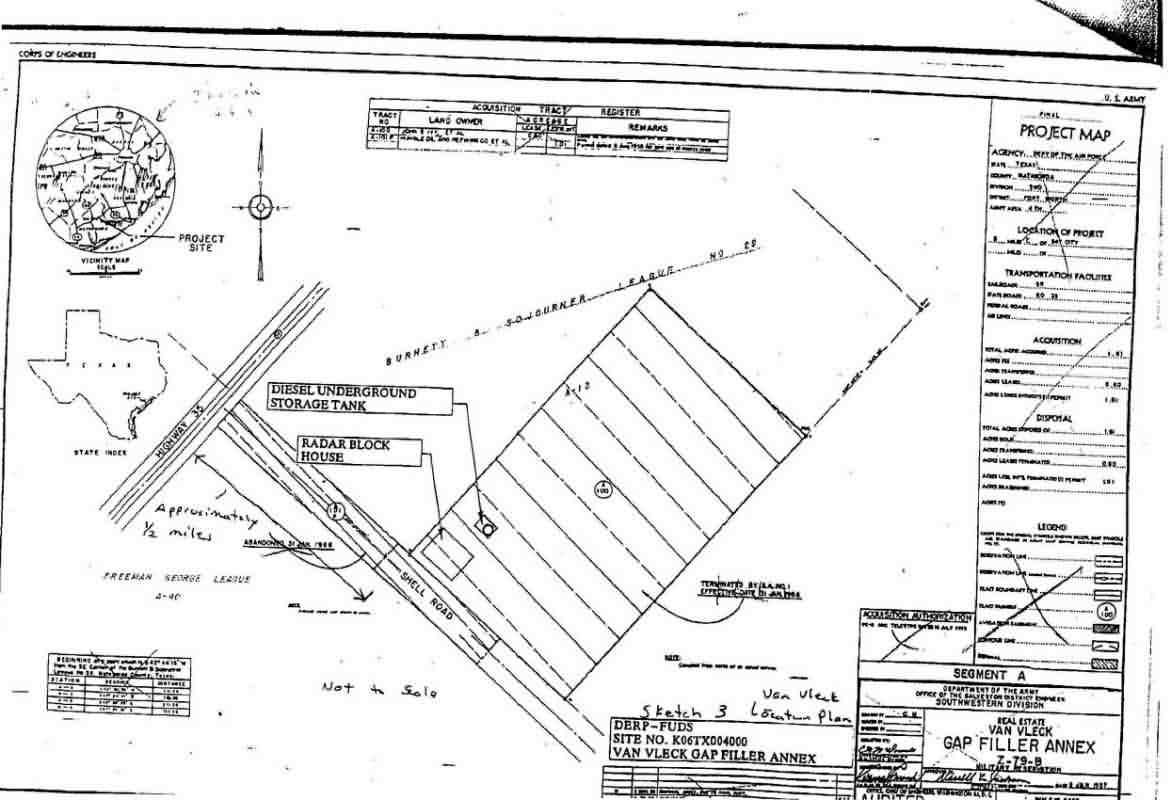
Findings of Fact, Site Location, and Information on
Van Vleck Gap Filler, based on information provided by US Army Corps of Engineers Formerly Used Defense
Site (FUDS) document K0TX0040 of 1994
Site Location
On access road, 0.5 mile east of Highway 35 near Van Vleck, Matagorda County, TX. Access road use was acquired from the Humble Oil refining Company, and the 0.60-acre property was leased from a Mr. John S. Ivy.
The Real Estate map shows the access road as `Shell Road`. *
Site History and Findings of Fact
Congress authorized the gap filler on July 27 1954, and the government acquired 0.41 acres fro a private landowner on April 1956.
The Air Force developed and operated the unmanned radar site until 1963, when it was declared excess and sold to another private owner in 1965.
Current Usage at Time of Report
The site was privately owned and the concrete blockhouse converted into a private residence.
Site Map

* It isn`t clear whether the road is of `shell` composition, or the road is named `Shell Road`, but no road by this name exists on any mapping software.